Two wealthy owners in Morgantown have plans to destroy the Haymaker forest and fill it with houses and roads and other buildings, a lot of buildings and roads:
Haymaker Forest is on the south side of Morgantown. It is a former steep sloped dairy farm with a brushy stream and the headwaters of a tributary of Aaron Creek, which flows into Deckers Creek very close to Marilla Park. Though privately owned, there are hiking trails already throughout Haymaker Forest. Beautiful hiking and biking trails could be expanded through Haymaker Forest extending from nearly-adjacent White Park (and its Cobun Creek connectors with the Mon Rail Trail) to Marilla Park, both at its upper and lower ends. Not, however, if this forest is destroyed for development.
[update: see Save the Haymaker Forest (facebook group) for more recent and current information on efforts to save Haymaker Forest, and there join 600+ members currently.]
Both the city of Morgantown and Monongalia County have state mandated (though nonbinding) Comprehensive Plans with land use maps designating the Haymaker Forest as a sensitive area prioritized for preservation. While very many areas in the city and county are designated for development by the Comprehensive Plans’ land use maps, this forest is not one of them. And with good reason. Some of the slopes are steep, and much of the forest remains designated as “farmland of statewide importance,” now become prime forest, potentially sheltering multiple protected species, including bats and clover.
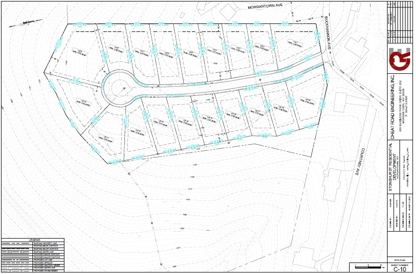
Below are the developer/owners’ plans for the forest instead, the first diagram submitted to MUB and the second diagram submitted to the Morgantown Planning Commission:
The owner developers intend to put in a lot of buildings and roads, despite the city and county comprehensive land use plans prioritizing the opposite. Below, a map in the Monongalia County Comprehensive Plan shows the area to consist entirely of severe slopes and “farmland of statewide importance” now forested that is not marked for any “development potential” despite very much of the map being marked for development (in yellow) – (Haymaker Forest is in the added red oval):
Similarly, the City of Morgantown’s Comprehensive Plan’s Land Management map prioritizes the Haymaker Forest for “reserve” and not for growth or development, in an almost totally developed city already:
Unfortunately, though both the county and city Comprehensive Plans are mandated by the state to exist, they are not binding, even when there is overwhelming public support for those plans or portions of those plans, as in the case of preserving Haymaker Forest, and potentially incorporating it into the city and county parks system. It is the responsibility of local public officials and offices to make these plans reality. The city and county so far have refused to take such action though it has been urged and available. The Morgantown City Council refused to vote on and pass a user fee for park land acquisition (direct or indirect), and the Monongalia County Commission has not been receptive to any action for park land acquisition there. The city and county are refusing to live up to their Comprehensive Plans. In doing so, they are refusing to enhance and protect the ecological and social quality of life in the area. And for what? So that two wealthy owners can profit off of Haymaker Forest in wholesale disregard for public planning and public will? That is government for the One Percent, not government for the public and people in general.
Here is what government for the people would have long since been actively working to create out of Haymaker Forest, not the currently privately planned entirely inappropriate development and anti-public-planning mayhem but parks and trails for the public and for wildlife and ecology, for health and quality of life, a park and greenbelt initiative, from White Park to Marilla Park:
This could be and should be part of a greater greenbelt initiative establishing the first major outer loop bike trails connecting Deckers Creek and the Monongahela River to trails through the surrounding city and county, possibly via the potential loops illustrated here:
Such a sweeping expansion of the park and trail system would greatly improve quality of life, health, and the reputation of the city and county, thereby attracting further investment financial and social. Saving the Haymaker Forest by various city and county initiatives should be a key part of area revitalization, preservation, and improvement. Enough with anti-public-planning. Enough with sitting on hands by local government officials, failing to do what should have been done decades ago, and could be done at virtually any time now. It is time to move forward in and around Haymaker Forest, and not backward into the chaos and destruction of similar previous inappropriate private development.
There is a much bigger picture to be considered in and around Haymaker Forest:
Haymaker Forest, though largely in county jurisdiction, is partly in city of Morgantown jurisdiction and is engulfed on three sides by three of the city’s seven wards (1st, 2nd, and 6th wards – Councilors Bane, Kawecki, and Redmond). In other words, nearly a majority of the City Council wards border and engulf Haymaker Forest and yet Council has done essentially nothing to attempt to save it. Furthermore, Councilor Kawecki’s Ward partly contains Haymaker Forest. And yet where has a single Councilor even spoken up publicly on behalf of preserving Haymaker Forest? Why do they pass up opportunities to marshal funds for it? And the County Commissioners? Deafening silence, no action. Suddenly bond proposals for many things, but not this. Do they all side with the One Percent against the public on this matter of area and even regional importance? Representatives of multiple neighborhoods and Neighborhood Associations have appeared before City Council and County Commission and appealed for quality of life relief from the privately planned development by two wealthy owner developers, a private development that opposes both the city and the county’s thoughtful and publicly vetted Comprehensive Plans. Do the local government officials think they are elected to represent the interests of the One Percent over the interests and needs of the public, quality of life be damned? What can one reasonably conclude?
Developer’s map of Phase 1 and Phase 2 of Haymaker Village and original submission to MUB – note the proposed thruway extending from Dorsey Avenue to Buckhannon Avenue:
MUB map of Phase 1 and Phase 2 of Haymaker Village:
ADDITIONAL DOCUMENTS:
MUB map and water estimate of Haymaker Village:
MUB map and sewer estimate of Haymaker Village:
Developer’s Haymaker Village request for estimate to MUB:
MUB Availability Letter – Stonehurst Development:
Official Position Paper of South Hills, Southpoint, and South Park Neighborhood Associations, regarding the development and Buckhannon Avenue access, presented to Morgantown City Council and Monongalia County Commission by neighborhood representatives in October 2015: Neighborhoods’ Position Paper on Major South Morgantown Development.















May 4, 2016 at 6:19 pm
Well, if the people of Morgantown don’t feel the need to organize and fight all this “development” then they deserve what they get: ““The sun, the moon and the stars would have disappeared long ago… had they happened to be within the reach of predatory human hands.” ~Havelock Ellis, The Dance of Life,
May 7, 2016 at 7:25 am
Please leave the woods alone and connect trails to other parks and trails.
Has anyone contacted the mountain bikers over this property? Who leads the White Park Mountain Bike events?
Also just the bikers in general. I just saw a small group riding through First Ward a few mornings ago and looked like young kids headed to school!!!!!
May 8, 2016 at 10:27 pm
The Morgantown Planning Commission will hear a request for approval on this proposed development on May 12. This meeting is being held in City Counsel’s chambers.
They are welcoming comments sent to the following address:
c/o City Council Chambers, 389 Spruce St., Morgantown, 26505 (zip ? – unsure if correct)
Here is the link to the official notice, dated April 26:
http://wvlegals.com/notice-4197/
May 8, 2016 at 11:26 pm
The facebook group created today is going to raise public awareness of this issue and raise it quickly. Now is the time to act to protect this valuable natural resource.